Toggle navigation
Transmettre
vos observations
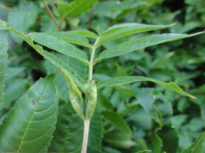
Galles de Dasineura acrophila sur feuille de Frêne © JOURDE Rémi - CC BY-NC
Dasineura acrophila
(Winnertz, 1853)
Classe :
Insecta
Ordre :
Diptera
Famille :
Cecidomyiidae
Genre :
Dasineura
3
observations
3
communes
1
observateur
Première observation
2022
Dernière observation
2022
3
communes
Nom
Departement
Dernière observation
Nombre d'observations
Hangard
>80414
80
2022
1
Le Plessier-Rozainvillers
>80628
80
2022
1
Oresmaux
>80611
80
2022
1
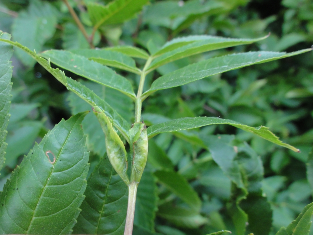
Galles de Dasineura acrophila sur feuille de Frêne © JOURDE Rémi - CC BY-NC
Informations sur l'espèce
Etat des connaissances
Habitats
Phénologie
Etat des populations
Identification
Synonymes
Non renseignée pour le moment
Non renseignée pour le moment
Non renseignée pour le moment
Non renseignée pour le moment
Non renseignée pour le moment
Cecidomyia acrophila
Winnertz, 1853 |
Signalements
Les informations données ici représentent l'état actuel des connaissances et ne peuvent être considérées comme exhaustives.